울산시, 설계 경제성 검토 예산절감 성과 ‘톡톡’

김영란 기자 / 기사승인 : 2023-12-27 16:36:57
  • -
  • +
  • 인쇄
- 올 해 10개 사업에서 예산 132여억 원 절감
- 내년부터는 공공성 있는 민간사업까지 확대
▲ 울산시청사 전경 (사진=울산시)

 

[일요주간=김영란 기자] 울산시가 올 한 해 동안 설계 경제성 검토(VE, Value Engineering)를 통해 132억여 원의 예산을 절감하는 등 톡톡한 성과를 거뒀다고 밝혔다.


설계 경제성 검토란 사업 시행부서에서 완료한 설계 내용을 관련분야 전문가들이 다시 한번 검토하는 것을 말한다. 
여러 분야의 전문가들이 시설물의 기능 및 성능, 품질 향상을 위해 설계에 대한 경제성 및 현장 적용의 타당성을 기능별, 대안별로 검토해 건설공사비는 절감하고 시설물의 성능은 높이는 것이 목적이다.


울산시는 지난 2009년 이후 울산시와 구군의 건설 사업 중 총공사비 100억 원 이상의 건설 공사에 대해 설계 경제성 검토를 시행해 왔다.


특히 올해부터는 설계 경제성 검토를 공공시설물 가치향상 위주로 검토하고 하반기부터(7월) 대상사업을 총공사비 50억 원 이상의 건설공사(전기,소방,통신공사 포함)로 확대해 신청 건수 총 13건 중 10건에 대해 설계경제성 검토를 완료했다.


그 결과 ▲울산미포국가산업단지(주전~어물동) 진입도로 확포장공사(24억여 원) ▲남구 노후하수관로 정비공사(19억여 원) ▲울산미포국가산단(제3분구) 완충저류시설 설치사업(36억여 원) ▲온산하수처리구역 차집관로 부설공사(21여억 원) 등에서 총 132억여 원을 절감했다. 이는 10건의 건설공사 총공사비 1,956억 원 대비 6.74%에 해당하는 금액이다.
 

울산시는 예산 절감과 함께 분야별 전문가들이 제안한 창의적 제안 443건을 반영해 시설물의 가치를 향상하는 성과도 거두었다.


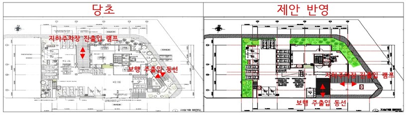
대표적인 우수제안으로는 울주군 자원봉사센터 건립공사의 보행 주출입동선과 지하주차장 진출입 위치를 변경하는 전문가들의 제안을 반영하여 4억여 원을 절감하고 시설물 이용자들의 편의성과 안전성을 향상시켰다. 

 

▲ (이미지=울산시)


울산시는 이러한 성과를 바탕으로 내년부터는 「사회기반시설에 대한 민간투자법」에 따라 추진하는 민간 투자사업과 「산업단지 및 개발에 관한 법률」에 따라 민간이 추진하는 산업단지 개발사업까지 대상을 확대 운영한다.  

 

이를 통해 민간이 추진하는 시설물의 가치를 향상시키고 설계과정에서 공공시설물 가치 향상에 불필요하거나 과다 반영된 공사비를 절감해 기업들의 부담을 완화시킨다는 계획이다.


또한 설계 경제성 검토 제안 형태 중 가치향상형 제안 비율 목표를 상향시켜 공공시설물 가치향상 비중을 더 높이고 설계 경제성 검토에 시설 운영(관리) 부서도 참여시켜 다양한 의견을 청취하는 등 설계 경제성 검토의 효과를 극대화해 나가기로 했다.


울산시 관계자는 “내년부터 주관부서 및 기업부담 완화를 위하여 공공성이 있는 민간사업까지 확대해 시행할 예정이다.”라며 “매년 성과 분석을 통해 설계 경제성 검토 효과를 극대화할 수 있도록 최선을 다하겠다.”라고 밝혔다.

 

'시민과 공감하는 언론 일요주간에 제보하시면 뉴스가 됩니다'

▷ [전화] 02–862-1888

▷ [메일] ilyoweekly@daum.net

[저작권자ⓒ 일요주간. 무단전재-재배포 금지]

오늘의 이슈

댓글 0

댓글쓰기
  • 이 름
  • 비밀번호

- 띄어 쓰기를 포함하여 250자 이내로 써주세요.
- 건전한 토론문화를 위해, 타인에게 불쾌감을 주는 욕설/비방/허위/명예훼손/도배 등의 댓글은 표시가 제한됩니다.


많이 본 기사